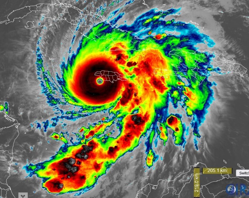
Category Five Hurricane Melissa ripped through western Jamaica on Tuesday. Landfall occurred around 1 p.m. local time near the town of New Hope after days of rapid intensification. Just before landfall, Melissa’s sustained winds had risen to 185 mph (300 kph), making it one of the strongest hurricanes ever to make landfall in the Atlantic Basin.
The US Air Force Reserve Hurricane Hunters flew straight through Category 5 Hurricane Melissa, capturing an incredible view from inside the storm’s eye. pic.twitter.com/bq6bY3PqPz
— Nature is Amazing ☘️ (@AMAZlNGNATURE) October 28, 2025
BREAKING: New video shows the catastrophic damage from Category 5 Hurricane Melissa in Black River, Jamaica.
So sad. pic.twitter.com/IUQRhVGSK4
— Brian Krassenstein (@krassenstein) October 29, 2025
Melissa was slow to develop, traversing the Atlantic as a weak disturbance a few weeks ago. As it entered the Caribbean last week, the disturbance slowed to a crawl and began to intensify. Rapid intensification occurred over the weekend and by Monday Melissa was a maximized Category Five on the Saffir-Simpson scale. The storm was so strong in fact that Hurricane Hunter research aircraft were forced to turn away from the eye at one point due to severe turbulence. Conditions rapidly deteriorated on the western side of Jamaica on Tuesday with trees and houses flattened and widespread power outages. The roof came off of a hospital in Black River and the St. Elizabeth Technical High School reported severe damage.
Black River, Jamaica, as Hurricane Melissa unleashes its fury. pic.twitter.com/3MAcimUQqm
— Open Source Intel (@Osint613) October 28, 2025
WATCH: Historic St. John Parish Anglican Church in Black River, Jamaica destroyed by Hurricane Melissa
Its foundation was laid in 1837, though the church is believed to be much older pic.twitter.com/Uq12u8Ftng
— Rapid Report (@RapidReport2025) October 29, 2025
Melissa was close enough to Hispaniola and Jamaica to push torrential rainfall into the islands days ahead of landfall. Rainfall totals have probably approached 2-3 feet (610-915 mm) in some areas, leading to numerous landslides and rivers surging out of their banks. Many communities report being underwater due to the severe fresh water flooding and storm surge. The capital city of Kingston was mostly spared the highest winds and flooding, but communities in the west have been devastated. This is particularly true given the relatively weak infrastructure of poverty-stricken Jamaica. Melissa is now approaching eastern Cuba and will pass through the eastern Bahamas as well before heading into the open Atlantic.